5515 N Surf Rd, Hollywood, FL

$4,299,000

Previous Next

0.15

Acres

About 5515 N Surf Rd

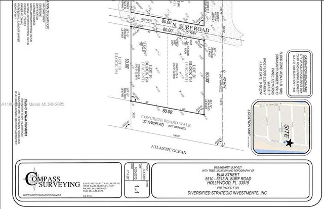
Looking for a builder / developer with experience & a PROVEN track record in Hollywood / ocean front homes. This unicorn opportunity, directly on the sand, can be yours at an unbelievable price if you qualify! Side by side 5510 & 5515 N Surf Road: offer a combined total of 6,400 square feet with 80 feet of direct beachfront along the Atlantic Ocean. Combine the lots & build your Hamptons Style Mega-Mansion, or build multiple structures for generational living, or simply build 2 stunning $20M estates & make a small fortune in 2 years. Located less than 2 miles north of the Hollywood Boardwalk, 15 minute drive to FLL Airport & 30 minutes to MIA Airport. Seller is NOT interested in "joint ventures", or seller financing. Please submit cash offers to secure the best price! Must buy both lots.

Features of 5515 N Surf Rd

MLS® # A11804810
USD $4,299,000
CAD $6,026,553
CNY 元30,586,396
EUR €3,699,337
GBP £3,219,620
RUB ₽347,263,332
Bathrooms 0.00
Acres 0.15
Type Land
Status Active

Community Information

Address 5515 N Surf Rd
Area 3010
Subdivision HOLLYWOOD CENTRAL BEACH
City Hollywood
County Broward
State FL
Zip Code 33019

Amenities

Utilities Electricity Available, Natural Gas Available, Other
View Ocean
Is Waterfront Yes
Waterfront Ocean Access, Ocean Front, No Fixed Bridges
Has Pool No

Interior

Fireplace No

Exterior

Lot Description 80x160

Additional Information

Date Listed May 23rd, 2025
Days on Market 123
Parcel ID 514201026680

Listing Details

OfficeKeller Williams Capital Realty
EmailJoelD@kw.com

Listing Map

Request a Showing

Provide a valid email address.
When would you like to view this property?